The future of downtown's historic neighborhoods

Walking around Boylan Heights this morning I realized we have Spanish moss in Raleigh. I haven’t seen that before, after being here 16 years.

Also saw some giant yellow plum and peach trees growing on the sidewalk.

14 Likes

I saw some in a forest outside of Smithfield the other week. Spanish moss is spreading to more inland areas in the south lately, as the climate is becoming more semi-tropical. This week’s forecast suggest it’ll be very happy the next several days. :anguished_face:

7 Likes

I don’t know how AI decided we have six historic districts, but we have 8 city-designated “Historic Overlay Districts”, plus 28 National Register historic districts (and some others that only encompass parkland and/or cemeteries). We have 182 locally-designated historic properties, and around 110 individual properties that are on the National Register (which mostly overlap with the local list).

3 Likes

Looks like the rezoning application on the recently purchased house at 101 N Bloodworth means they will keep existing structure and use it for commercial purposes. Not a bad approach to slowly overtime transform the neighborhood.

9 Likes

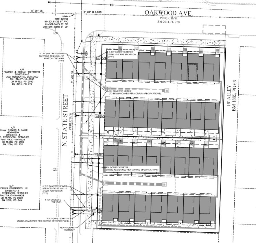
Anyone have information about this new Oakwood Townhome project:

This ones been hanging out there for awhile… ASR-0100-2021. Nice to see it moving along.

8 Likes

I think this was tied up in Bankruptcy court along with the New Bern project from the same development firm.

Wow. Those are really packed in there, aren’t they? I’d think that if I had one of them, I’d want one facing Oakwood.

1 Like

Anyone know what’s going on with the lot next to Gables Motel Lodge, I see they have “cleared” it and have some heavy equipment on site.

It’s the Gables Hotel renovation. They’re expanding the “garage” (currently a short stone wall on what looks like an empty lot next door) and creating additional units. Unfortunately the parking lot will be prominent and street-facing.

This is from a long time ago but I think the design is still similar to this:

11 Likes

The Gables Motel Lodge renovation is expected to open in summer 2026, according to a blog post this week from musician/owner Tift Merritt. Meet Me At The Gables - Nightcap with Tift Merritt

13 Likes

That was a great read, thanks for posting!

3 Likes

Took some photos of some active developments in the Oakwood fringe and Mordacai neighborhoods during a jog yesterday. Not really gaining density but gaining mass.

Corner of Watauga and Holden, the small cinderblock house fronted Watauga before. The new will front Holden. Taking use of the large lot, there is a large attached garage behind. There is a full basement, that was a deep pit right beside the next door house for a while.

720 Oakwood, one house down from the corner of Cooke St. This one appears to gain density, a duplex.

907 North Blount, so long old trees.

1341 Mordecai, loosing density with this one. The previous house was multifamily as a duplex. The upper level was a separated and possibly a separate unit behind it if it was a triplex.

1302 Mordecai, full basement on this as well. The foundation makes use of the majority of the lot, density to be seen. So long old trees.

9 Likes

The development on Courtland has some progress lately as well. The old apartments were torn down 5/6 years ago? It’s been cleared out for a while with a loop road. In the last weeks some dirt has been moved around and looks like concrete forms are going in. Assuming density is lost from the apartments previously, not sure if these are going to be single family or duplex/townhomes.

7 Likes

It’s a 17-unit condo development going in, I believe it picked up one unit.

3 Likes

I thought it was going to be Abode at Mordecai (similar to Abode single family product like downtown on Hargett St)?

It’s possible that I am wrong. The permit portal refers to a 17-unit cottage condo, but it may have changed since then. Looking at the real estate records it’s going to be a handful of SFH.

ETA: Yeah, it looks like the Abode LLC sold it to Legacy Custom Homes just a few months ago. $ SFH.

If done correctly, this sort of infill can be a win/win. Neighbors are less likely to get all twisted about them because of scale, and the city gets more density and tax revenue.

Not sure this is 1:1 comparison, but here’s something similar on Filmore St.

4 Likes

That would explain why Insight Real Estate brokerage teased new SFR in “Mordecai” for around $1M list price recently. Connecting the dots, they are probably taking the cottage court plans from Abode rentals to sell as single family - the downtown product was 1,600 SF so maybe they increase size slightly and do “luxury” finishes.

The only issue is that the small lot single family incremental density growth is minimal in arguably one of the more desired areas of the city which keeps supply constrained and pushes up prices. Places where demand is off the charts, the city needs to reduce friction to allow for a high number of new units. If we just keep putting single family on 1/10 of an acre to appease existing neighbors, it’s not only going to have continue high prices, but also limit the ability of neighborhood retail and mass transit to be feasible.

3 Likes