ITB New Home Builds

This specific development is alley-loaded garages, the 3D rendering I posted are the townhomes across Gregg that have already sold before completion. This lot is rectangular east to west with one entrance from Gregg st.

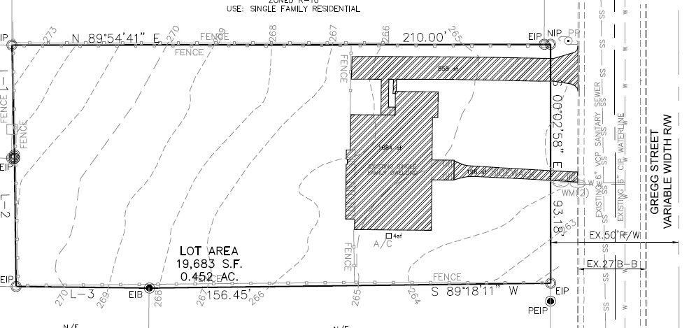
Here is the current lot layout with 1 single family home facing Gregg St:

Here is the new townhome layout proposal with all six garages facing north:

5 Likes

Some homes have driveways while some don’t. It’s like a mishmash.


i used to be in day care at the church many years ago. i like this series of homes they have built. i was able to see them a couple of weeks ago. nice bike lane on milburnie and if i recall a nice covered bus stop at milburnie and king charles intersection.

3 Likes

Corner of Chavis and Cabarras. Next to Transfer.

Crazy price imo. This is Five Points pricing.

4 Likes

We walked by this Sunday on the way to transfer, this view looking towards the skyline from the den on the 3rd floor will be awesome :

I just saw another interesting house or duplex go under contract as well: The Duo at Sherrybrook just sold before completion, I have a feeling with rising material and land costs, this might actually bring the neighborhood density downtown east needed.


image

I also received an email from a local realtor group saying they are representing “South Heights”

" We are excited to announce that we are representing a brand new development in Downtown Raleigh featuring 28 stylish, sleek, and modern condos. Stay tuned for more info and register here to be the first to learn more. South Heights will be the place to be when it comes to Downtown Living. You’ll want to Live At South Heights."

4 Likes

That 710 Sherrybrook location has pretty decent bike connections too. Good bike lane with a buffer on Rock Quarry going north and a wide sidewalk (“multi-use path”, supposedly) on the west side of Rock Quarry that connects to the Walnut Creek greenway.

3 Likes

Does anyone know where exactly South Heights is?

I’ve got a personal connection to one of the Sherrybrook buyers. Pretty excited for that one.

The view towards downtown is good. But not in the other 3 directions. I live next door to this, I know the views. 2million in this location is hard to justify. Hard to believe this price for a home on Cabarrus. Guess it helps my value……not that I’m going anywhere.

1 Like

Yeah, but at least you get a one car carport for $2M. :thinking:

1 Like

I love those big welcoming windows facing the street. It’d be silly to sell a $2mm house that just looks like a stack of windowless grey boxes to your neighbors, after all.

Hey everyone, new user here. I’m interested in doing missing middle development in Raleigh. Does anyone know any builders or architects designing/building duplexes, ADU’s, or small multi-family?

If you have a site that could work for any of these housing types, I would be interested in partnering with you on a project. My background is real estate investing and finance, but I would like to move into a developer role with small infill projects.

12 Likes

Are you in the neighborhood development Facebook group? Not specific to Raleigh, but a couple of us are in there and it has lots of good resources on this.

Welcome @Scott to the dtraleigh community! We are thrilled to have you and your participation! :smiley:

2 Likes

Just joined. Thank you.

5 Likes

This might be a good case study for an interesting small multi-family project. I’d like to see more like it. The architect is out of LA, but the strange thing is it looks like the building has been complete for a while but there has been ZERO info about this since then. No idea if the units are for rent or sale.

Raleigh Architecture Co. would also be a great design/build firm to look into partnering with for something like this.

The MMH2.0 package, notably the new map, reaaalllllly opens up a lot of new sites. Happy to talk sometime via DM.
https://community.dtraleigh.com/t/zoning-and-density/825/319?u=paytonc

5 Likes

Wake county tax website updated. $849k! $849k. Wow. Just wow.

1416 Fayetteville St.

Again Wow just Wow.

1 Like

Not to be too negative but this thread is full of disappointments.

Any idea where these guys are going? The map seems to be wrong, and Heights Drive isn’t mapped out on Google yet.

EDIT: Found it! : Head east on MLK BLVD. Take a right on Garner Rd. South Heights development is on the left between Garner Rd and Sawyer Rd along McMakin St.

6 Likes